Côn Đảo nổi tiếng với nhiều món hải sản ngon – lạ – độc, và trong số đó, những món ăn từ cá bò giáp luôn có sức hút đặc biệt. Đây là loài cá đặc sản của vùng biển Côn Đảo, được đánh bắt hoàn toàn tự nhiên.
Cá bò giáp – diện mạo xấu xí nhưng chất lượng “thịt vàng”
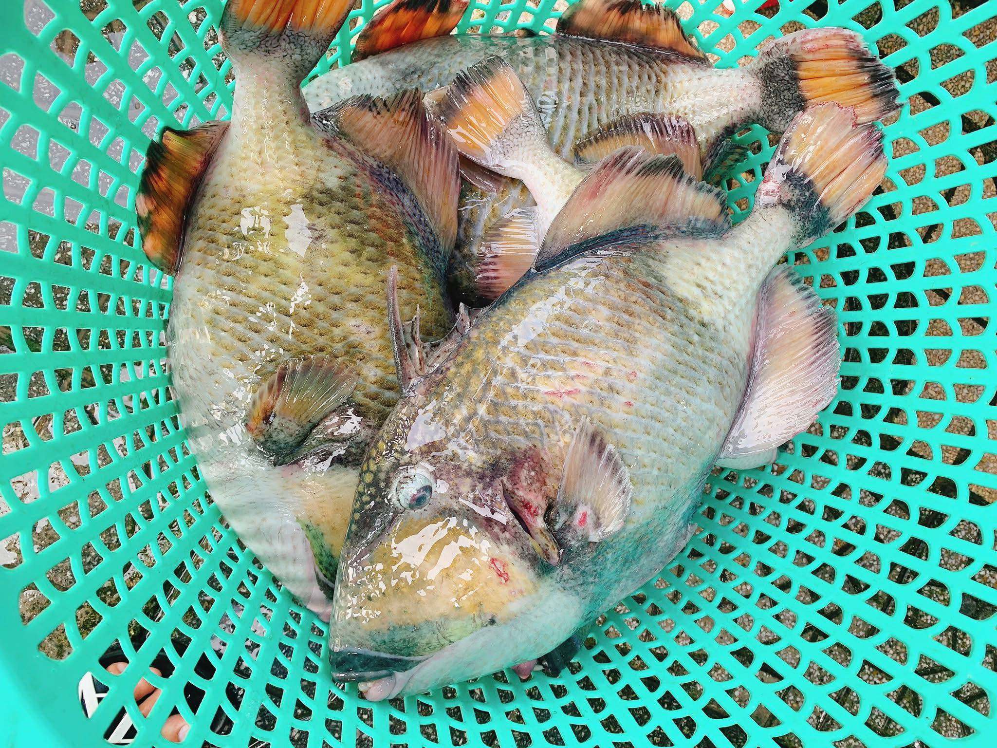
Cá bò giáp có màu xanh đen, thân dày, bộ răng khỏe và được xem là loài cá dữ. Thức ăn của chúng chủ yếu là sò, nghêu, cua, ghẹ và san hô. Mỗi con thường nặng từ 1,5kg đến 5kg.
Dù vẻ ngoài không bắt mắt, lớp da lại dày và cứng, nhưng thịt cá bò giáp cực kỳ chắc, dai và thơm. Thịt trắng nhưng phần đuôi chuyển sang màu đỏ sậm như thịt bò, vị ngọt tự nhiên, béo nhẹ. Loại cá này còn giàu đạm và chứa nhiều Vitamin A, D, B12 – rất tốt cho sức khỏe.
Cá bò giáp nướng muối ớt – món ăn gây thương nhớ
Một trong những cách chế biến ngon nhất phải kể đến cá bò giáp nướng muối ớt.
- Cá phải chọn con còn sống, thân dày, thịt chắc
- Làm sạch, bỏ ruột rồi khứa vài đường chéo để thấm gia vị
- Ớt giã nhuyễn trộn cùng gia vị ướp đều toàn thân cá
- Để thấm 30 – 45 phút
- Nướng trên bếp than hồng, trở đều tay cho cá chín thơm, vàng thịt
Khi ăn, thực khách có thể cuốn cùng bánh tráng, rau sống, bún tươi và chấm muối tiêu chanh. Giá khoảng 580.000đ/kg (đã chế biến).

Nhiều món ngon khác từ cá bò giáp
Không chỉ nướng muối ớt, cá bò giáp còn được chế biến thành hàng loạt món hấp dẫn:
- Lẩu ngót cá bò giáp
- Cá bò giáp hấp
- Nướng lá chuối, nướng giấy bạc
- Cá bò giáp om
- Sashimi cá bò giáp (ăn sống mù tạt)
- Cháo cá bò giáp
- Da cá bò giáp chiên giòn – món nhắm “đỉnh của chóp”
Đặc sản hiếm của Côn Đảo
Do sống trong rạn san hô và khó đánh bắt, cá bò giáp được xem là đặc sản hiếm của Côn Đảo. Thịt dai – ngọt – béo kết hợp với hương vị đậm đà từ muối ớt khiến ai từng thưởng thức đều “quên lối về”.











Không có bình luận
[…] Xem thêm: Quên lối về với món cá bò giáp nướng muối ớt […]